Mona News

UWI invites Applications for Prestigious, £1 Million Earthshot Prize

UWI invites Applications for Prestigious, £1 Million Earthshot Prize

The search for the winners of The Earthshot Prize 2022 is underway and The University of the West Indies (The UWI) is inviting applications from staff, students, alumni, NGOs and other stakeholders from across the Caribbean.

Read more
February 15, 2022
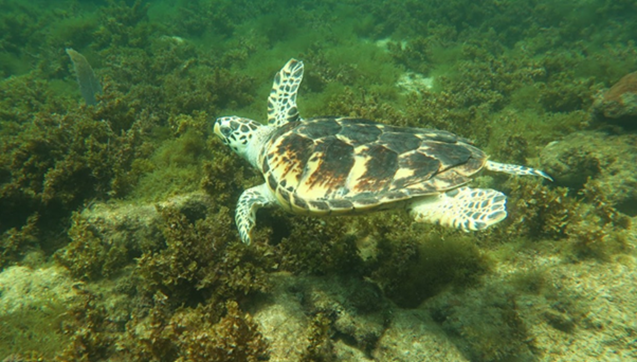
Goodbye Bob | Port Royal Marine Lab

Goodbye Bob | Port Royal Marine Lab

The UWI Port Royal Marine Lab (PRML) received Bob, a Hawksbill Turtle, as a rescue from the team at The National Environment and Planning Agency (NEPA). Due to extended exposure in freshwater, the turtle was kept at the lab for monitoring and to acclimatize back to full seawater.

Read more
February 15, 2022

The P.J. Patterson Centre for Africa-Caribbean Advocacy at The UWI calls for the posthumous exoneration of Marcus Garvey.

The following statement is issued by Most Hon P.J. Patterson, Statesmen-in Residence at the PJ Patterson Centre for Africa-Caribbean Advocacy at The University of the West Indies (The UWI).

Read more
February 15, 2022
Campaign to exonerate Marcus Garvey moves into high gear

Campaign to Exonerate Marcus Garvey moves into High Gear

The following is issued by Most Hon P.J. Patterson, Statesman-in-Residence at the P.J. Patterson Centre for Africa-Caribbean Advocacy at The University of the West Indies (The UWI).

Read more
February 15, 2022

Another Global Gold Award for The UWI

The University of the West Indies (The UWI) has won another gold international award for its branding and marketing.

Read more
February 08, 2022

Pages